ลิ้งค์เชื่อมต่อ

'เฮอร์ริเคนเอียน' ถล่มรัฐฟลอริดา เพิ่มความรุนแรงเฉียดระดับ 5


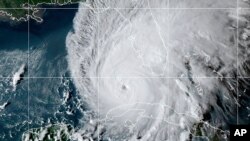
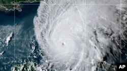
This GOES-East GeoCcolor satellite image taken at 10:10 p.m. EDT on Sept. 27, 2022, and provided by the National Oceanic and Atmospheric Administration (NOAA), shows Hurricane Ian over the Gulf of Mexico.
This GOES-East GeoCcolor satellite image taken at 10:10 p.m. EDT on Sept. 27, 2022, and provided by the National Oceanic and Atmospheric Administration (NOAA), shows Hurricane Ian over the Gulf of Mexico.

พายุเฮอร์ริเคนเอียน (Ian) ขึ้นฝั่งรัฐฟลอริดาในวันพุธ ที่เมืองคาโยคอสตา ทางฝั่งตะวันตกเฉียงใต้ของฟลอริดาติดอ่าวเม็กซิโก โดยมีความเร็วลมสูงสุดที่เกือบ 250 กม./ชม. ใกล้เคียงกับการเป็นพายุเฮอร์ริเคนระดับ 5 ซึ่งเป็นระดับความแรงสูงสุดของมาตรวัดเฮอร์ริเคน

ศูนย์พายุเฮอร์ริเคนแห่งชาติที่นครไมอามี รัฐฟลอริดา เตือนว่า พายุลูกนี้มีความอันตรายอย่างที่สุด และจะทำให้เกิดฝนตกหนัก ลมพัดแรง และคลื่นขนาดใหญ่ ในแถบตอนล่างและภาคตะวันตกของรัฐฟลอริดา นอกจากนี้ยังอาจก่อให้เกิดน้ำท่วมฉับพลันทั่วทุกพื้นที่ของรัฐนี้

An airplane overturned by a likely tornado produced by the outer bands of Hurricane Ian is shown, Sept. 28, 2022, at North Perry Airport in Pembroke Pines, Fla.
An airplane overturned by a likely tornado produced by the outer bands of Hurricane Ian is shown, Sept. 28, 2022, at North Perry Airport in Pembroke Pines, Fla.

ทางการรัฐฟลอริดาสั่งอพยพประชาชนมากกว่า 2 ล้านคนออกจากฝั่งตะวันตกของฟลอริดา ขณะที่ผู้ว่าการรัฐ รอน เดซานติส สั่งการให้กองกำลังสำรองหลายพันคนเข้าร่วมในภารกิจกู้ภัย

สถานที่ท่องเที่ยวต่าง ๆ ในฟลอริดา รวมทั้ง สวนสนุกดีสนีย์เวิลด์ ยูนิเวอร์แซลสตูดิโอ และซีเวิลด์ ต่างปิดบริการ ขณะที่ศูนย์อวกาศเคนเนดีทางฝั่งตะวันออกของรัฐฟลอริดา ทำการเคลื่อนย้ายจรวดสำรวจดวงจันทร์ อาร์เตมิส 1 จากแท่นยิงจรวดเข้าสู่อาคารประกอบยานอวกาศชั่วคราว และชะลอการทดสอบปล่อยจรวดยักษ์ลำนี้ออกไปอย่างไม่มีกำหนด

เที่ยวบินต่าง ๆ หลายพันเที่ยวถูกยกเลิก รวมทั้งเที่ยวบินที่สนามบินในเมืองแทมป้าและเมืองเซนต์ปีเตอร์สเบิร์ก นอกจากนี้ยังมีคำเตือนฝนตกหนักในรัฐใกล้เคียง คือรัฐจอร์เจียและรัฐเซาธ์แคโรไลนาด้วย

A woman takes photos of the surf on Tampa Bay ahead of Hurricane Ian, Sept. 28, 2022, in Tampa, Fla.
A woman takes photos of the surf on Tampa Bay ahead of Hurricane Ian, Sept. 28, 2022, in Tampa, Fla.

โฆษกทำเนียบขาว คารีน ฌอง-ปิแอร์ กล่าวเมื่อวันอังคารว่า ประธานาธิบดีโจ ไบเดน ได้หารือกับผู้ว่าการรัฐฟลอริดา เดซานติส เรื่องความช่วยเหลือของรัฐบาลกลางเพื่อรับมือพายุเฮอร์ริเคนเอียน

ประธานาธิบดีไบเดน ประกาศสภาวะฉุกเฉินในรัฐฟลอริดาเพื่อให้สำนักงานจัดการภาวะฉุกเฉินของรัฐบาลกลางสามารถจัดส่งความช่วยเหลือฉุกเฉินเข้าไปในพื้นที่ที่เป็นเส้นทางผ่านของพายุได้ทันที

A vintage car passes by debris caused by the Hurricane Ian as it passed in Pinar del Rio, Cuba, Sept. 27, 2022.
A vintage car passes by debris caused by the Hurricane Ian as it passed in Pinar del Rio, Cuba, Sept. 27, 2022.

ก่อนหน้านี้ พายุเอียนพัดถล่มภาคตะวันตกของคิวบาเมื่อวันอังคาร ทำให้มีผู้เสียชีวิต 2 คนและก่อให้เกิดไฟฟ้าดับทั่วพื้นที่ สรา้งความเสียหายอย่าวมากท่ามกลางความเดือดร้อนจากพิษเศรษฐกิจในคิวบา

  • ข้อมูลบางส่วนจากเอพี เอเอฟพี และรอยเตอร์

XS
SM
MD
LG